Smart Tea Leaf Disease Detection

Upload a leaf photo and get instant diagnosis & treatment advice

AI Powered

Click or Drag Image Here

Where TeaCare AI Can Be Used

Designed to support tea farmers, plantation managers, and agricultural officers in real-world field conditions.

Tea Plantations

Monitor crop health across large plantations.

Small Farmers

Easy disease detection using mobile phones.

Field Officers

Assist farmers during field visits and inspections.

Research & Monitoring

Track disease trends and improve crop strategies.

About Us

Tea farmers often face crop loss due to late disease detection and incorrect pesticide usage.

  • Instant disease detection using mobile photo
  • Accurate spray and treatment advice
  • Works on simple smartphones

TeaCare AI empowers farmers with instant disease detection using image-based analysis. With real-time insights and actionable treatment recommendations, it helps improve crop health, reduce pesticide misuse, and increase yield efficiency.

Read More

Why Choose TeaCare AI for Smart Disease Detection?

TeaCare AI leverages advanced machine learning to help farmers detect diseases early and take timely action. Our solution is designed to be simple, fast, and accessible—even for users with basic smartphones.

01 How does TeaCare AI detect diseases?

Simply upload an image of a tea leaf, and our AI model analyzes it instantly to identify diseases with high accuracy. The system provides results within seconds.

02 Does it provide treatment recommendations?

Yes, along with disease detection, TeaCare AI suggests appropriate treatment methods, preventive measures, and best practices to protect crops and improve yield.

03 Can farmers use it easily in their local language?

Absolutely. The platform supports multiple regional languages, making it easy for farmers to understand the diagnosis and recommended actions without technical knowledge.

Powerful AI Capabilities for Tea Disease Detection

TeaCare AI combines machine learning, image processing, and multilingual support to deliver fast, accurate, and farmer-friendly solutions.

Disease Detection Accuracy 92%
Multi-language Support 90%
Detection Speed 95%
User Friendliness 93%

Services

TeaCare AI provides intelligent, easy-to-use solutions to help farmers detect diseases early, take preventive actions, and improve crop yield.

Leaf Disease Detection

Upload a photo of a tea leaf and get instant disease identification using AI-powered image analysis.

Treatment Guidance

Get accurate treatment suggestions and preventive measures to control diseases effectively.

Multi-language Support

Access disease insights and recommendations in regional languages for better understanding.

Real-time Analysis

Receive instant results within seconds, helping farmers take timely action and prevent crop loss.

How It Works

Simple steps to detect tea leaf diseases using AI

Upload Image

Take or upload a tea leaf photo from your mobile device.

AI Analysis

Our machine learning model analyzes the image instantly.

Disease Detection

Identify the disease with confidence score and reason.

Get Treatment

Receive preventive measures and treatment guidance.

Reduce Crop Loss with AI-Powered Detection

TeaCare AI helps farmers identify diseases early, take preventive action, and improve yield using simple image-based analysis.

Analyze Leaf Now

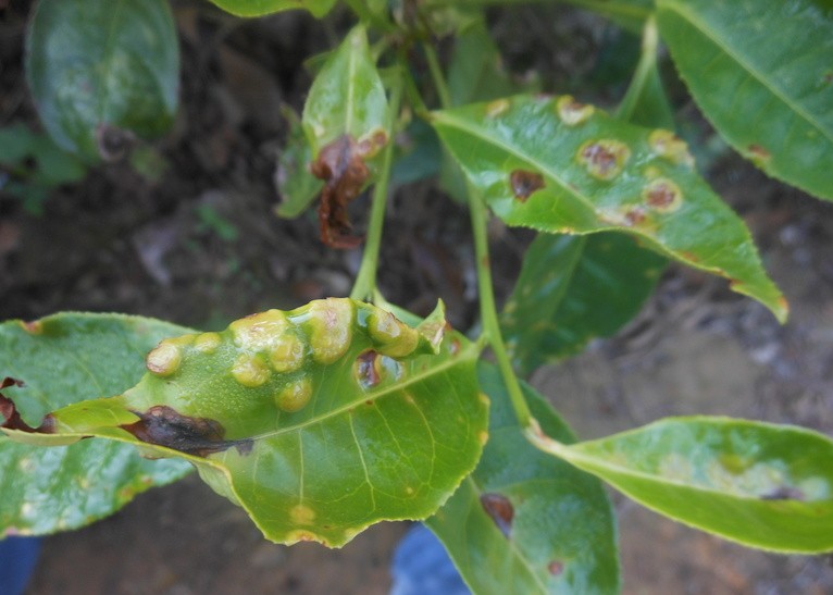
Sample AI Detection Results

Real examples of tea leaf disease detection using TeaCare AI. Click on any image to view detailed AI diagnosis.

AI Result

Tea Mosquito Bug

Puncture spots detected | Confidence: 87%

AI Result

Blister Blight

Fungal infection detected | Confidence: 91%

AI Result

Healthy Leaf

No disease detected | Confidence: 95%

How TeaCare AI Helps Farmers

Designed to support tea farmers with simple, fast, and reliable disease detection and treatment guidance.

Early Disease Detection

Identify leaf diseases at an early stage to prevent crop damage.

Reduce Crop Loss

Take timely action and reduce yield loss caused by infections.

Simple to Use

Just upload a photo from your mobile phone—no technical knowledge needed.

Local Language Support

Get results and guidance in your preferred regional language.

Access & Availability

TeaCare AI is designed to be easily accessible for farmers, plantation managers, and agricultural support teams.

For Farmers

Free Access

  • Upload leaf images
  • Instant disease detection
  • Treatment recommendations
  • Multi-language support
  • Mobile-friendly usage
Start Using

For Field Officers

Support Tool

  • Assist farmers in diagnosis
  • Verify disease detection
  • Provide expert recommendations
  • Use in field visits
  • Offline support (future scope)
Learn More

Farmer Feedback

Real experiences and feedback from farmers and field officers using TeaCare AI.

Ramesh Kumar

Tea Farmer, Assam

I was able to identify leaf disease early and take action immediately. This helped me prevent major crop loss.

Anita Das

Small-scale Farmer

The app is very easy to use. Even without technical knowledge, I can upload a photo and understand the problem quickly.

Rajiv Sharma

Field Officer

This tool helps us support farmers better during field visits. Disease detection is fast and reliable.

Frequently Asked Questions

Common questions from farmers and field officers about using TeaCare AI.

How do I use TeaCare AI?

Simply upload a photo of a tea leaf using your mobile phone. The system will analyze the image and provide disease details instantly.

Do I need technical knowledge to use this?

No. The system is designed for easy use by farmers. Just upload an image and view results—no technical skills required.

Can I get results in my local language?

Yes. TeaCare AI supports multiple regional languages so farmers can easily understand the diagnosis and recommendations.

How accurate is the disease detection?

The system provides high accuracy (around 90%+) based on trained AI models. Confidence scores are also shown with each result.

Can this be used in remote areas?

Yes. The system works on smartphones and can be used in field conditions. Offline support can be added in future versions.

Need Help with Tea Leaf Diseases?

Our system is designed to assist farmers and field officers in identifying diseases and taking the right action.

Contact Support

Tea Advisory & Best Practices

Important guidelines and recommendations to help farmers maintain healthy tea crops.

Early Disease Prevention

Regular monitoring of tea leaves helps in identifying diseases early and prevents large-scale crop damage.

Proper Spraying Techniques

Use recommended pesticides and follow proper spraying intervals to avoid overuse and improve effectiveness.

Maintain Healthy Crops

Ensure proper irrigation, pruning, and soil management for better crop yield and disease resistance.

Contact & Support

Get assistance, share feedback, or connect with us to use TeaCare AI for improving tea crop health.

Address

A108 Adam Street, New York, NY 535022

Call Us

+1 5589 55488 55

Email Us

info@example.com

Loading
Your message has been sent. Thank you!